foote addition
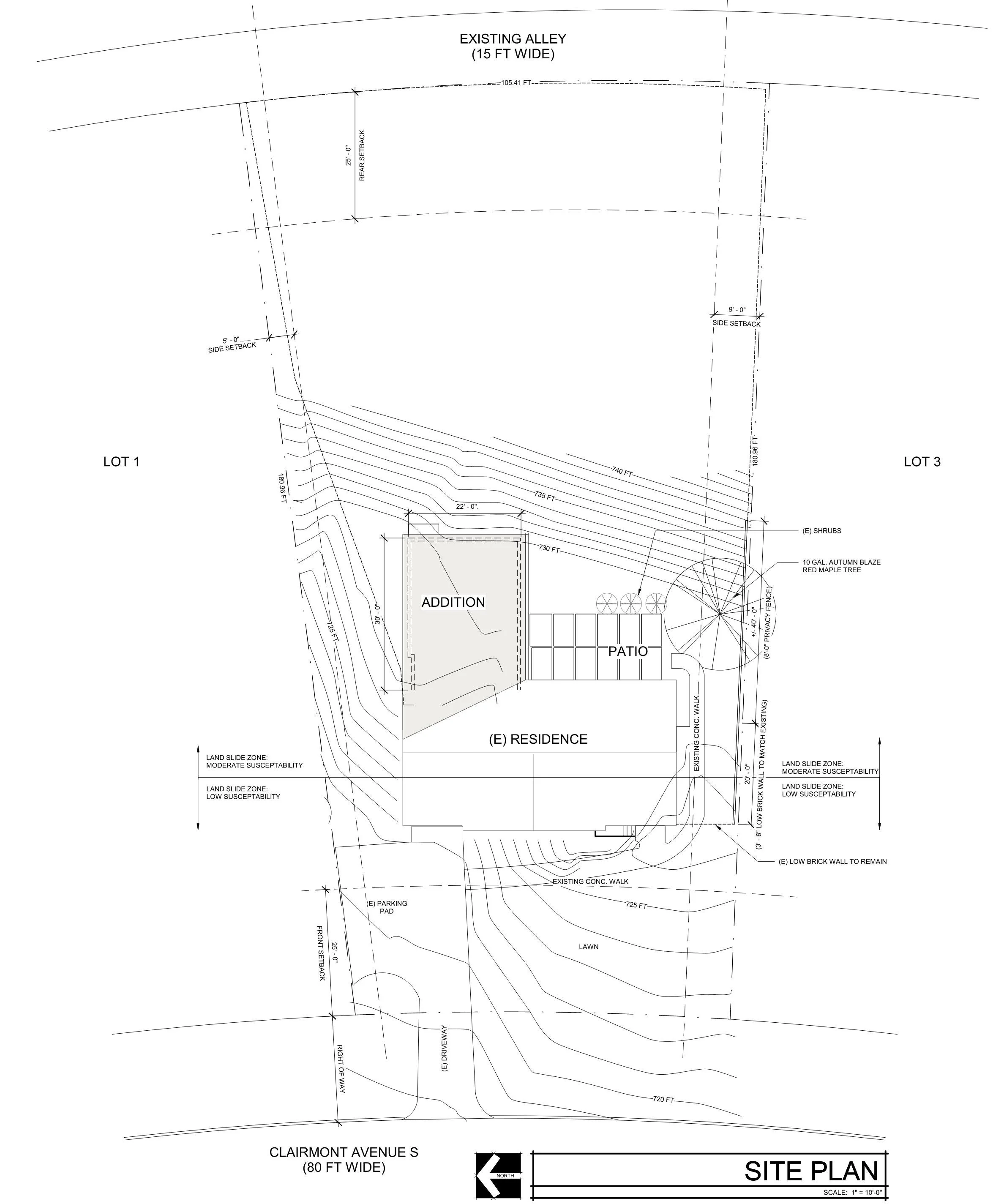
600sf primary suite addition to an existing residence in Birmingham, AL. Construction in-progress summer 2024.
600sf primary suite addition to an existing residence in Birmingham, AL. Construction in-progress summer 2024.